蚌埠|东航校安置房规划出炉!9栋高层住宅!兴业街西配三层商业!
东航校安置房的问题一直都是居民比较关心的,前不久地块在蚌埠公共资源交易中心挂牌出让,最终蚌埠恒泰建设发展有限公司获得。
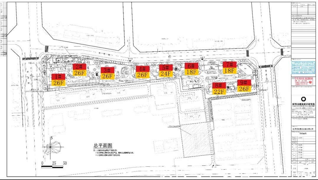
【 蚌埠|东航校安置房规划出炉!9栋高层住宅!兴业街西配三层商业!】刚刚蚌埠市自然资源和规划局公布了地块开发的项目:东航嘉苑整体规划效果,整个小区设计9栋高层住宅(18-26层),在兴业街西设计三层商业建筑,预计有菜市场、引进大型超市计划。
蚌埠楼盘网发布
这个小区开发入住之后,整个延安路新城区老房子越来越少,同时这个小区在土地出让时就已确定学区为二实小本部。小区周边有体育场、珠园、六中、三院等蚌埠顶级生活配套。
目前,片区里商品房价格比较高的有金汇国际、财富广场、新兴尚层、金山花园等已经入住的小区,整体二手房均价在1万+/平米。
蚌埠楼盘网截图
金汇国际在网上的二手房报价最高已经报到了2.4万/平米,片区内最新的入住小区。只能说,二实校本校+六中,对于蚌埠买房人来说还是很香也很认,所以导致双学区的房子价格居高不下。
推荐阅读
- 防水|东方雨虹为何不惧地产下行?
- 灵魂深处|全屋定制案例|儒雅新中式,展现灵魂深处的东方情怀
- 房价|2022年,大东“1.5环”爆量,房价“蠢蠢欲动”
- 密封夹|我家厨房10个超级可爱的小东西,好看又好用,做饭心情都会变好!
- 哈尔滨|东户房和西户房“区别”在哪?听听建造师说完,庆幸知道的早
- 子女|山东:保障租房者基本公共权益 逐步实现租房落户
- 房价|东莞新房价格真的降了吗?盘点2022年东莞10大在售新楼盘价位
- 明贴|房子装修一定要装这几样东西,好多人没听劝,后悔入住才察觉
- 山东省|好住│金牛岭片区的刚需户型,两梯两户还配入户花园
- |西晒房、东晒房,一个没人要,一个抢着买,有钱没钱万万要选对
