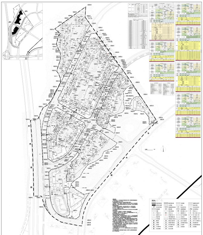
车水路|总建面68.4万方,兰草坝千亩大城(一期)规划、效果图出炉!


??乐居买房讯 7月15日,贵阳市自然资源和规划局发布关于兰草坝一期G(11)13号地块棚户区改造项目建设工程规划许可行政审批批前公示。
??据悉,兰草坝一期G(11)13号地块棚户区项目位于南明区甲秀南路兰草坝,紧邻贵阳阿哈湖国家湿地公园,建设单位为中铁房地产集团(贵州)有限公司,此次申报类别为建设工程规划许可证。
??项目总用地面积247276.42平方米,可计容用地面积168434平方米,其中净用地面积149861.4平方米,主要用地性质为居住,兼容20%的商业、办公、公共服务设施、酒店用地。绿地面积为45111.77平方米,绿地率30.1%。
??项目总建筑面积为684027.85平方米,计入容积率面积为505300.22平方米,其中商品住宅404240.47平方米,公建配套15561.61平方米,商业设施85498.14平方米;建筑密度23.78%,容积率3.0,共52栋建筑,最高建筑高度为99.9米,最高建筑层数为32层,规划总户数2616户,停车位4803个,其中室内平面停车位4762个。
【 车水路|总建面68.4万方,兰草坝千亩大城(一期)规划、效果图出炉!】
??公建配套方面,项目规划有1所18班小学,用地面积14580平方米,1所12班幼儿园,用地面积5400平方米,以及老年人日间照料中心、社区卫生服务站、文化活动站、公益性惠民生鲜超市、体育场地、社区服务站等。
??该项目为中国铁建·铁建城项目的一部分,根据介绍,中国铁建·铁建城总占地面积超1000亩,总建筑面积约240万平方米,将建设贵阳饮马湖公园(贵州首个运营型公园)、国际马术中心(贵州首个)、国际五星级酒店、国际时尚发布中心、滨湖文化主题公园等多个“首个”配套,同时项目内还规划有多所公立学校。
??此外,6月4日,中铁房地产集团(贵州)有限公司公司(中铁建)斥资逾39.92亿,拿下南明区南明区后巢乡车水路的GD(21)006、007号两宗土地,楼面价分别为4117元/平方米、4114元/平方米,地块总面积约27.14万平方米。

??随着中铁建摘下车水路地块、兰草坝一期G(11)13号地块棚户区项目规划出炉,区域的改造升级工作也将展开,兰草坝全面蝶变之日已经不远,贵阳铁建城“千亩大城”未来可期。
【购房资讯轻松享,快来关注乐居网】
文章来源:乐居买房
推荐阅读
- 美好生活|欧哲门窗副总经理周志军:「拓」不忘初心同心同德,成为美好生活空间首选品牌
- 潘石屹|许家印:潘石屹,为何你能安全下车?
- 炒房|房子有多难卖?三线城市炒房者:降价20万送车位都卖不掉
- 建房子|面宽11米, 进深16.5米的农村三层别墅, 前后有花院还带车库, 完美!
- 装修|总结我的新家装修完就后悔的37条防坑经验!记住少走弯路!
- 汽车|即使价格便宜,这6类房子也不要购买,很多问题都无法解决
- 海南|好住│总价35.8万/套起,它凭什么引燃海南楼市?
- 二手房|对于买房省钱,一旦你干了这5件蠢事,就等着赔进去一辆车钱吧!
- 居里亚2021年终总结大会圆满召开|定制快讯| 年终
- 贝壳|房产中介失速,物企该如何变道超车?
